TaxonHub
Escarabajo Terrestre Lineal

Escarabajo Terrestre Lineal

Paradromius linearis

Una pequeña especie de escarabajo terrestre de la familia Carabidae, caracterizada por su estructura corporal alargada y lineal, endémica de regiones europeas con climas templados.

Image Gallery

Escarabajo Terrestre Lineal
Escarabajo Terrestre Lineal
Escarabajo Terrestre Lineal
Escarabajo Terrestre Lineal
Escarabajo Terrestre Lineal
ADSENSE SLOT

Ecología

Habitat

Encontrado en diversos ambientes terrestres incluyendo pastizales, bordes de bosques, márgenes agrícolas y áreas de vegetación baja en Europa, típicamente en zonas de humedad moderada con temperaturas entre 5-25°C.

Ecological Role

Juega un papel crítico como escarabajo terrestre depredador, controlando poblaciones de insectos, participando en el ciclo de nutrientes y sirviendo como bioindicador de la salud del ecosistema y la calidad ambiental.

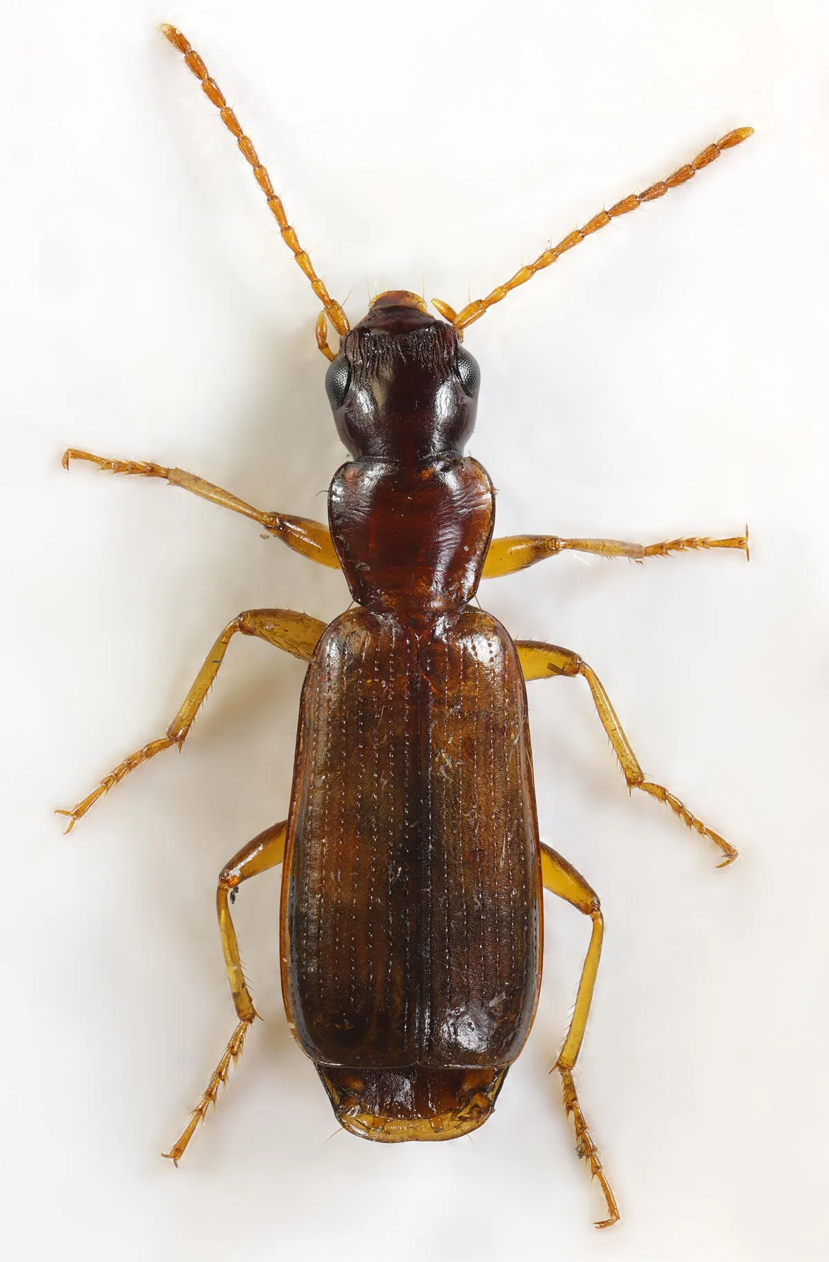
Morfología

  • SKIN COAT Exoesqueleto liso con ligero brillo metálico, proporcionando protección y mínima pérdida de agua
  • LIMBS WINGS Seis patas con tarsos especializados para locomoción terrestre, capaz de movimiento rápido; élitros típicamente marrones oscuros o negros con patrones lineales
  • HEAD SENSORY Ojos compuestos prominentes, antenas bien desarrolladas para detección química y táctil, mandíbulas potentes para depredación
  • BODY STRUCTURE Escarabajo alargado y delgado de aproximadamente 5-7 mm de longitud, con cuerpo aerodinámico adaptado para movimiento rápido en el suelo
Data Source: TaxonHub Database
Image Credit: Wiki
ADSENSE VERTICAL

Related Species in Carabidae