TaxonHub
Escarabajo Soldado Marginado

Escarabajo Soldado Marginado

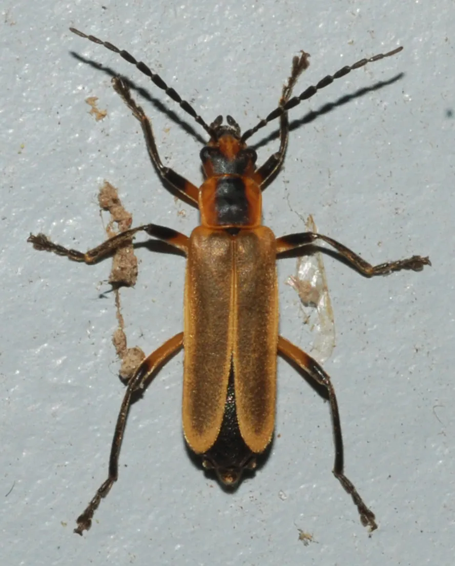
Chauliognathus marginatus

Una pequeña especie de escarabajo de la familia Cantharidae, caracterizada por su coloración marginal distintiva y su estructura corporal alargada, nativa de diversas regiones con climas templados y subtropicales.

Image Gallery

Escarabajo Soldado Marginado
Escarabajo Soldado Marginado
Escarabajo Soldado Marginado
Escarabajo Soldado Marginado
Escarabajo Soldado Marginado
ADSENSE SLOT

Ecología

Habitat

Encontrado en pastizales, praderas, paisajes agrícolas y bordes de bosques con vegetación floreciente abundante, típicamente a elevaciones entre 0-1,500 metros sobre el nivel del mar.

Ecological Role

Insecto polinizador y depredador importante que ayuda a controlar las poblaciones de plagas agrícolas, contribuyendo al equilibrio del ecosistema y la biodiversidad en diversos hábitats terrestres.

Morfología

  • SKIN COAT Exoesqueleto con capa externa quitinosa, que proporciona protección y soporte estructural
  • LIMBS WINGS Seis patas segmentadas con adaptaciones tarsales para locomoción, dos pares de alas con élitros endurecidos que protegen las alas posteriores delicadas
  • HEAD SENSORY Ojos compuestos prominentes, antenas sensibles para percepción química y táctil, piezas bucales masticadoras adaptadas para comportamientos depredadores y de alimentación
  • BODY STRUCTURE Cuerpo de escarabajo alargado, aproximadamente 8-12 mm de longitud, con coloración marginal distintiva típicamente en tonos negro y amarillo/naranja
Data Source: TaxonHub Database
Image Credit: Kaldari
ADSENSE VERTICAL

Related Species in Cantharidae